Contacta

Solicitud enviada

35.000€

del Lago Ref. 947796

    Otros en venta en Mérida

    Eficiencia energéticaEn tramite

    NO COBRAMOS COMISIÓN DE INTERMEDIACIÓN AL COMPRADOR
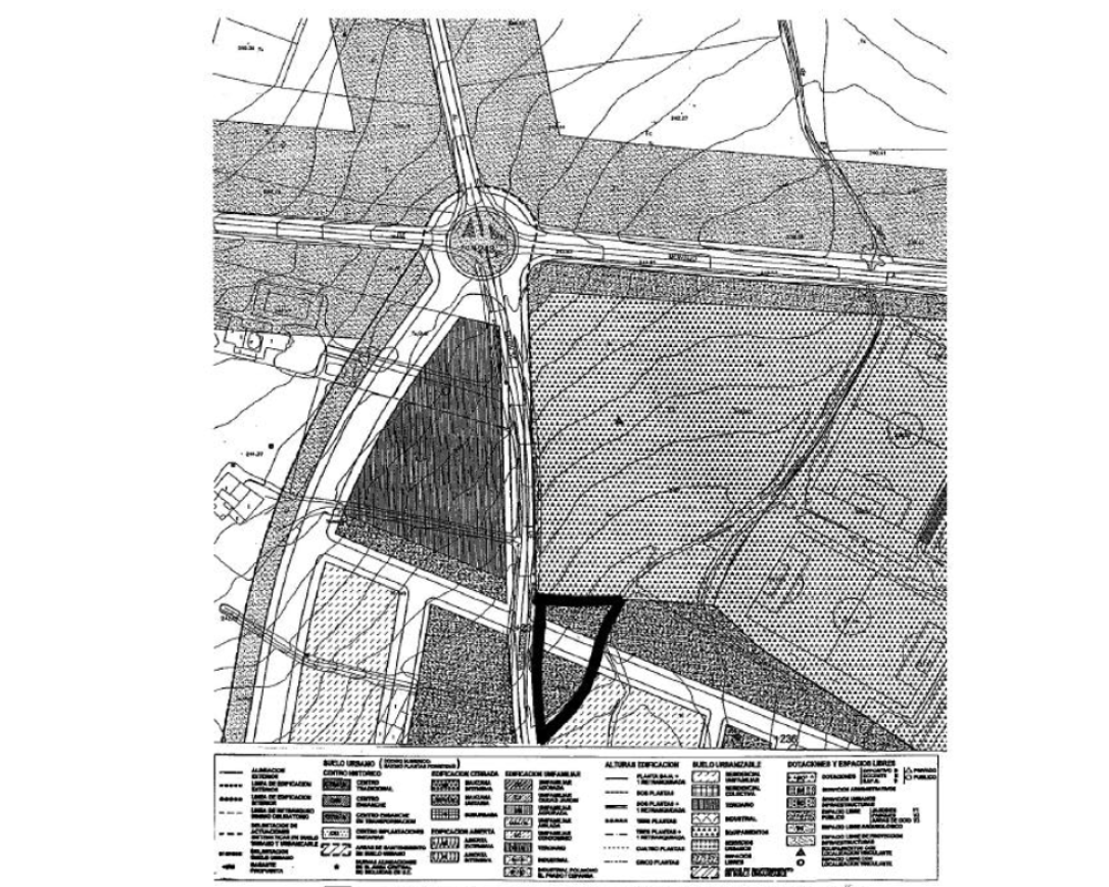
    Excelente oportunidad de adquirir este suelo urbanizable residencial ubicado en Mérida (Badajoz).
    Muy bien comunicado en una de las vías principales de acceso a Mérida. A pocos metros del Anfiteatro y Estadio Romano. Entre los principales puntos de interés se encuentra el conjunto arqueológico de Mérida, declarado Patrimonio de la Humanidad. Este conjunto incluye el Teatro Romano, el Anfiteatro Romano, el Circo Romano y el Puente Romano. Además de su patrimonio romano, cuenta con otros atractivos, como la Alcazaba Árabe, un imponente castillo que domina el paisaje urbano, y la Basílica de Santa Eulalia, un magnífico ejemplo de arquitectura visigoda. La ciudad también alberga diversos museos, como el Museo Nacional de Arte Romano, que exhibe una importante colección de arte y objetos romanos. Dispone de todos los servicios públicos o privados necesarios como pequeño comercio de proximidad, supermercados, centros educativos y gran oferta gastronómica.
    - Residencial (viviendas protegidas): 3ud. - 272,48m²
    - Residencial (viviendas libres de primera residencia): 4ud. - 408,70m²
    - Alturas permitidas: 5 alturas en bloques plurifamiliares exentos, 2 alturas sobre rasante en viviendas unifamiliares adosadas y 1 planta bajo rasante para aparcamiento.
    - Referencia catastral: 9828703QD2192N0001SF

    * Los precios de los inmuebles que se muestran en la página web, así como las reservas y las ventas de viviendas publicadas, pueden variar por motivos de actualización de los mismos con los proveedores durante un plazo de 48 a 72 horas.
    La presente publicación tiene carácter meramente informativo, orientativo y no vinculante, por lo que no supone información contractual alguna, siendo su uso estrictamente comercial. Este anuncio puede contener errores, se muestra a título informativo de la información recibida, sin ser responsable la inmobiliaria de dichos errores.

    Solicitud enviada

    En breve el anunciante contactará contigo

    del Lago, Mérida, Badajoz

    Viviendas relacionadas

    Contacta con nosotros

    Los datos de carácter personal que consten en la consulta serán tratados por PROYECTIZATE EN LA NUBE, S.L. e incorporados a la actividad de tratamiento CONTACTOS, cuya finalidad es atender tus solicitudes, peticiones o consultas recibidas desde la web, mediante correo electrónico o telefónico. Dar respuesta a tu solicitud y hacer un seguimiento posterior. La legitimación del tratamiento es tu consentimiento. Tus datos no serán cedidos a terceros. Tienes derecho a acceder, rectificar y suprimir tus datos, así como otros derechos como se explica en nuestra política de privacidad: https://www.adelopd.com/privacidad/proyectizate-en-la-nube-sl

    Otros pisos en Badajoz

    Otras búsquedas