Contacta

Solicitud enviada

61.000€

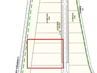
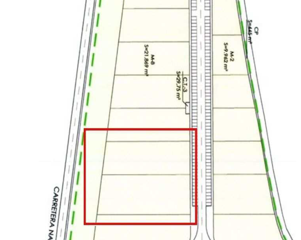
TN SECTOR-B Ref. 945842

  • 243 m²

Otros en venta en Hormilla de 243 m²

Superficie243 m²251 €/m²
Eficiencia energéticaEn tramite

NO COBRAMOS COMISIÓN DE INTERMEDIACIÓN AL COMPRADOR
Excelente oportunidad de adquirir en propiedad esta nave industrial ubicada en polígono industrial denominado Polígono industrial de Hormilla, situado en las afueras de la población.
Nave industrial con portón de acceso para vehículos y puerta de acceso para personas. Interior diáfano y en bruto, nave a estrenar.
Ya sea que necesites un área de almacenamiento, un espacio de producción o un lugar para tus operaciones comerciales, esta nave tiene el potencial para satisfacer tus requerimientos. Gracias a su ubicación, se encuentra cerca de otros negocios, lo que da visibilidad al inmueble. Ideal como uso o inversión para arrendarlo.
Polígono consolidado con todos los servicios y fácil acceso desde la N-120 y la A-12 que la conecta al centro de Logroño en tan sólo 30 minutos. Data del año 2007, y de cara al futuro se tiene previsto hacer otro (entre los dos habrá una superficie total de 431.923 m2)
En la Tierra de Nájera, en el valle del río Tuerto, se enclava el término municipal de Hormilla, cuyo núcleo de población se encuentra a 522 m sobre el nivel del mar y cuya extensión es de 15,86 km². Pertenece al partido judicial de Nájera.
Por lo tanto nave tiene todos los accesos, equipamientos e infraestructuras necesarios para el desarrollo de la actividad industrial. Empieza ya tu idea de emprendimiento.

* Los precios de los inmuebles que se muestran en la página web, así como las reservas y las ventas de viviendas publicadas, pueden variar por motivos de actualización de los mismos con los proveedores durante un plazo de 48 a 72 horas.
La presente publicación tiene carácter meramente informativo, orientativo y no vinculante, por lo que no supone información contractual alguna, siendo su uso estrictamente comercial. Este anuncio puede contener errores, se muestra a título informativo de la información recibida, sin ser responsable la inmobiliaria de dichos errores.

Solicitud enviada

En breve el anunciante contactará contigo

TN SECTOR-B, Hormilla, La Rioja

Viviendas relacionadas

Contacta con nosotros

Los datos de carácter personal que consten en la consulta serán tratados por PROYECTIZATE EN LA NUBE, S.L. e incorporados a la actividad de tratamiento CONTACTOS, cuya finalidad es atender tus solicitudes, peticiones o consultas recibidas desde la web, mediante correo electrónico o telefónico. Dar respuesta a tu solicitud y hacer un seguimiento posterior. La legitimación del tratamiento es tu consentimiento. Tus datos no serán cedidos a terceros. Tienes derecho a acceder, rectificar y suprimir tus datos, así como otros derechos como se explica en nuestra política de privacidad: https://www.adelopd.com/privacidad/proyectizate-en-la-nube-sl

Otros pisos en Hormilla

Otras búsquedas