Contacta

Solicitud enviada

396.000€

Extrarradio Ref. 945612

  • 4221 m²

Otros en venta en Babilafuente de 4221 m²

Superficie4221 m²94 €/m²
Eficiencia energéticaEn tramite

NO COBRAMOS COMISIÓN DE INTERMEDIACIÓN AL COMPRADOR
Magnífica oportunidad de adquirir en propiedad este conjunto de dos naves industriales, ubicada en la localidad de Babilafuente, provincia de Salamanca. Un activo con gran potencial que combina amplitud, ubicación estratégica y versatilidad, ideal tanto para el desarrollo de actividades profesionales como para inversión.
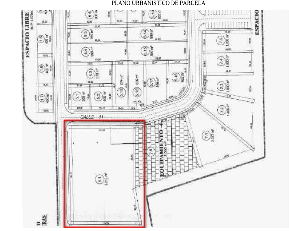
El inmueble se compone de 2 naves industriales situadas sobre la parcela 1_B, con una superficie de terreno según nota simple de 5.817m², si bien la superficie catastral de la parcela asciende a 8.563m², lo que refuerza su atractivo desde el punto de vista patrimonial.
Las naves cuentan con un diseño diáfano que permite una gran flexibilidad de uso, adaptándose a distintas actividades industriales, logísticas o de almacenamiento.
Es importante destacar que las naves no se encuentran registradas, aspecto relevante a considerar en el proceso de adquisición. Asimismo, según visita interior, las naves presentan un estado de conservación regular, debido a haber sufrido actos de vandalismo y robo de cableado, lo que implica la necesidad de adecuación o acondicionamiento previo a su puesta en funcionamiento.
La propiedad dispone de entorno con calles asfaltadas, alumbrado y acceso rodado, facilitando la operatividad logística y el tránsito de vehículos. Su ubicación es uno de sus grandes atractivos, ya que se encuentra muy próxima a la Autovía A-66, permitiendo una excelente conexión con Salamanca capital, a menos de 20 km, y con otros núcleos estratégicos de la región.

* Los precios de los inmuebles que se muestran en la página web, así como las reservas y las ventas de viviendas publicadas, pueden variar por motivos de actualización de los mismos con los proveedores durante un plazo de 48 a 72 horas.
La presente publicación tiene carácter meramente informativo, orientativo y no vinculante, por lo que no supone información contractual alguna, siendo su uso estrictamente comercial. Este anuncio puede contener errores, se muestra a título informativo de la información recibida, sin ser responsable la inmobiliaria de dichos errores.

Solicitud enviada

En breve el anunciante contactará contigo

Extrarradio, Babilafuente, Salamanca

Viviendas relacionadas

Contacta con nosotros

Los datos de carácter personal que consten en la consulta serán tratados por PROYECTIZATE EN LA NUBE, S.L. e incorporados a la actividad de tratamiento CONTACTOS, cuya finalidad es atender tus solicitudes, peticiones o consultas recibidas desde la web, mediante correo electrónico o telefónico. Dar respuesta a tu solicitud y hacer un seguimiento posterior. La legitimación del tratamiento es tu consentimiento. Tus datos no serán cedidos a terceros. Tienes derecho a acceder, rectificar y suprimir tus datos, así como otros derechos como se explica en nuestra política de privacidad: https://www.adelopd.com/privacidad/proyectizate-en-la-nube-sl

Otros pisos en Salamanca

Otras búsquedas