Contacta

Solicitud enviada

311.000€

VINQUIÑO-ADINA. Polígono Ref. 947739

    Otros en venta en Sanxenxo

    Eficiencia energéticaEn tramite

    NO COBRAMOS COMISIÓN DE INTERMEDIACIÓN AL COMPRADOR
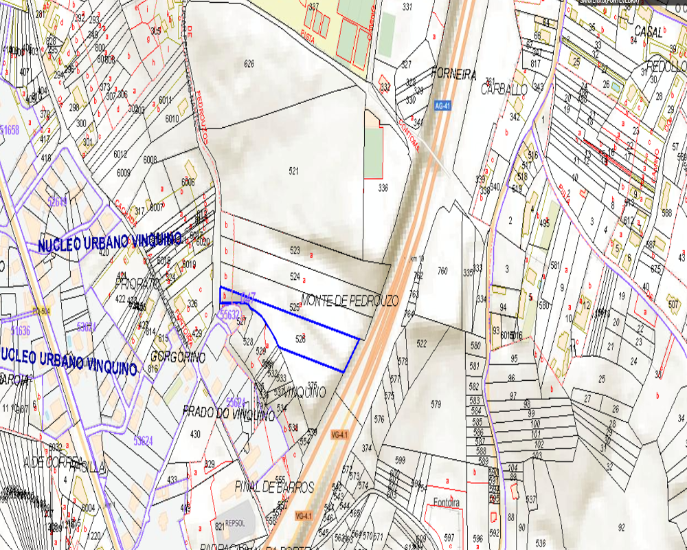
    Gran oportunidad de adquirir en propiedad este suelo urbanizable delimitado con los siguientes datos:
    - Parcela de terreno sita en la parroquia de Padriñán, municipio de Sanxenxo.
    - Una parte de la Finca Registral 30502, de 14.351 m2, está clasificada como suelo urbanizable, pendiente de ordenación mediante un Plan Parcial y de posterior gestión y urbanización. Concretamente nuestro suelo se emplaza en una Parcela de Equipamiento deportivo adscrito al SU-5 del PXOM de Sanxenxo (E36D – DEP).
    - La otra parte de 710 m2 corresponde a una parcela de suelo urbano, calificada con la Ordenanza 8 edificación unifamiliar extensiva, pendiente de completar la urbanización y donde la promoción más probable será la construcción de una vivienda unifamiliar de 284 m2
    Ubicado en la parroquia Padriñan en el municipio de Sanxenxo, provincia de Pontevedra. Forma parte de un conjunto de suelos en desarrollo urbanístico del Plan Parcial SU-5 Seixal - Padriñan, que se trata de una zona en expansión, con una edificabilidad en conjunto de 5.489,26 m2 aproximadamente. Se encuentra al norte del municipio, al pie de la autopista AG-41, lo que facilita el traslado de a otras localidades, municipios y comunidades.
    Por lo tanto la promoción a desarrollar disfrutará de un entorno tranquilo y natural, pero sin renunciar a todos los servicios, equipamientos y atractivos necesarios para una gran calidad de vida. Sus accesos, comunicaciones y transportes harán que tengas todo a tu alcance.
    No lo dudes, invertir en el suelo que te ofrecemos será una apuesta segura.

    * Los precios de los inmuebles que se muestran en la página web, así como las reservas y las ventas de viviendas publicadas, pueden variar por motivos de actualización de los mismos con los proveedores durante un plazo de 48 a 72 horas.
    La presente publicación tiene carácter meramente informativo, orientativo y no vinculante, por lo que no supone información contractual alguna, siendo su uso estrictamente comercial. Este anuncio puede contener errores, se muestra a título informativo de la información recibida, sin ser responsable la inmobiliaria de dichos errores.

    Solicitud enviada

    En breve el anunciante contactará contigo

    VINQUIÑO-ADINA. Polígono, Sanxenxo, Pontevedra

    Viviendas relacionadas

    Contacta con nosotros

    Los datos de carácter personal que consten en la consulta serán tratados por PROYECTIZATE EN LA NUBE, S.L. e incorporados a la actividad de tratamiento CONTACTOS, cuya finalidad es atender tus solicitudes, peticiones o consultas recibidas desde la web, mediante correo electrónico o telefónico. Dar respuesta a tu solicitud y hacer un seguimiento posterior. La legitimación del tratamiento es tu consentimiento. Tus datos no serán cedidos a terceros. Tienes derecho a acceder, rectificar y suprimir tus datos, así como otros derechos como se explica en nuestra política de privacidad: https://www.adelopd.com/privacidad/proyectizate-en-la-nube-sl

    Otros pisos en Pontevedra

    Otras búsquedas